|
| |
Familie: Bleiwurzgewächse (Plumbaginaceae)
Zur Familie gehören 27
Gattungen mit ca. 850 Arten.
1
Stängel ohne Blätter
Stängel
verzweigt,
Blütenstände
doldenrispig
Grundblätter länglich- eiförmig
> 2

Photo und copyright JC Schou http://www.biopix.dk
|
Stängel einfach,
Blütenstände kopfig
Grundblätter grasartig
> 5

|
2 Stängel
verzweigt, Blütenstände doldenrispig
Blüten violett, Narbe
fadenförmig
> 3

|
Blüten rosa, Narbe kopfig
> 4

|
3
Blüten violett, Narbe fadenförmig
Gattung:
Strandflieder (Limonium)

|
Pflanze 20 - 50 cm groß

Blüten in Doldenrispen

Blütenstand verzweigt und in sich verdreht

Krone blauviolett, stieltellerförmig, 5 Kronblattzipfel,
1 Fruchtknoten, 5 Griffel, 5 Staubblätter, Narbe fädig

Kelch röhrig, im trockenen Zustand trockenhäutig, dient der reifen
Frucht als Ausbreitungsorgan

Grundblätter groß, ganzrandig, in Rosetten
|
4
Blüten rosa, Narbe kopfig
Gattung:
Goniolimon (Goniolimon)

hier: Goniolimon tataricum
|
Pflanze 20 - 30 cm groß
Blüten in Doldenrispen

Krone rosa, stieltellerförmig, 5 Kronblattzipfel,
1 Fruchtknoten, 5 Griffel, 5 Staubblätter

Narbe mit grünem Köpfchen

Blüten stieltellerförmig, Kelchzähne linealisch

Stängel geflügelt

Grundblätter 3 - 15 cm lang, lanzettlich, stachelspitzig
ganzrandig, in Rosetten
Blattoberseite grün, netznervig
Blattunterseite heller, mit weißen Punkten
|
5 Stängel einfach, Blütenstände kopfig
Gattung:
Grasnelke (Armeria)

V - XI, Sandtrockenrasen, Moore, alpine Rasen
Karlstadt
Benninger Ried
Zu den
Unterarten
Einige der Unterarten sind extrem selten! |
Pflanze bis 40 cm hoch

Blüten in köpfchenförmigen Blütenständen

Blüten mit 5
Kronblattzipfeln,
5 Staubblätter, 5 Narben

Kronblätter rosa bis purpurn, nur am Grund
verwachsen

Kelch 5- teilig, verwachsen, trockenhäutig, bleibend

Blätter linealisch oder lanzettlich

|
6
Stängel beblättert
Kelch mit großen Drüsen,
Blätter nicht stechend
> 7

|
Kelch ohne Drüsen, Blätter
stechend bewimpert
> 8

|
7
Kelch mit großen Drüsen, Blätter nicht stechend
Gattung:
Bleiwurz (Plumbago)

hier: Plumbago auriculata
|
1 - 2 m hoher Strauch

Blüten in Köpfchen

Krone mit 5 Kronblattzipfeln

Krone röhrig, stark drüsig

Blätter am Rand ganzrandig oder fein gezähnt,
nicht dornig bewimpert
Blätter unterseits mit weißen Schüppchen
|
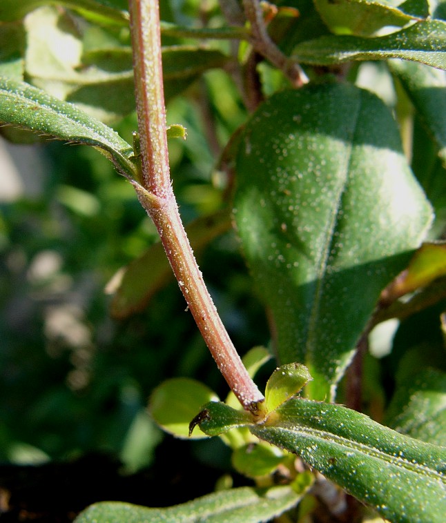
8 Kelch ohne Drüsen, Blätter stechend bewimpert
Gattung:
Hornnarbe (Ceratostigma)

hier: Ceratostigma plumbaginoides
|
Pflanze 20 - 40 cm groß
Bodendecker, Stängel schwach zick-zack- förmig

Blüten in Köpfchen

Krone himmelblau, mit 5 Kronblattzipfeln
Staubblätter +/- mit der Krone verwachsen

Krone röhrig, Kelchblätter schlank, behaart, nicht drüsig
zwischen den Blüten stehen Tragblätter

Stängel kantig, +/- behaart
Blätter am Rand dornig bewimpert
Blätter unterseits mit weißen Schüppchen
Blätter verfärben sich im Herbst rot
|
|